Erfolgreicher Meeresschutz in Indonesien
In der zweiten Woche unserer Expedition nach Padang (21. Juli bis 9. August) haben wir fünf Tage lang Bootsausfahrten zu verschiedenen Inseln unternommen. Mit einer Crew von zehn Leuten - hauptsächlich Mitarbeiter des indonesischen Meeresministeriums und der Bung Hatta Universität - führten wir Tauchgänge vor Inseln sowohl im Meeresschutzgebiet wie auch außerhalb durch. Dabei wurde an der Meeresoberfläche durchweg eine Temperatur von 30° C gemessen - deutlich mehr als normalerweise um diese Jahreszeit! Einer der Gründe dafür ist das Klimaphänomen "El Niño", bei dem sich das Meerwasser stark erwärmt. Seit mehreren Wochen bleichen daher in der Region die Korallen aus. Darüber berichten die Medien in ganz Südostasien.
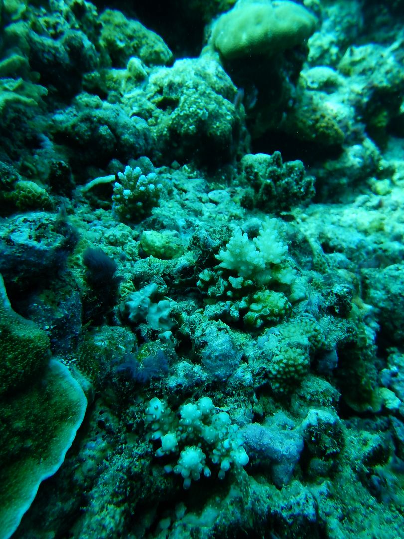
Insgesamt machen die Riffe vor allem innerhalb des Meeresschutzgebietes einen guten bis sehr guten Eindruck. Die Bedeckung mit Korallen erreicht wieder Werte von bis zu 80% und nur noch einzelne Korallenexemplare sind hier vollständig ausgeblichen. Leider ist aber auch die Anzahl von Korallen, die nach der Bleiche abgestorben und mit Algen überwachsen sind, sehr hoch, vor allem vor den Inseln außerhalb des Schutzgebietes. Dort erreicht die Korallenbedeckung selten mehr als 40 Prozent, an einigen Standorten auch deutlich unter 20 Prozent.
Über den Autor

Dr. Andreas Kunzmann ist Meeresökologe und leitet die Arbeitsgruppe Ökophysiologie am Leibniz-Zentrum für Marine Tropenökologie in Bremen. Seine Forschungsinteressen sind unter anderem die Folgen von Umweltveränderung auf Rifftiere und die Reproduktion von Zierorganismen aus Korallenriffen.
Die Suche nach sogenannten Rekruten, also Korallenlarven, die sich angesiedelt und begonnen haben, ein Kalkskelett auszubilden, war vor allem innerhalb des Schutzgebietes erfolgreich. Stellenweise konnten wir dort bis zu zehn Rekruten pro Quadratmeter finden. Auf dem Riffdach, dem obersten Stockwerk des Korallenriffs, werden schon drei bis fünf Rekruten pro Quadratmeter als gute Werte angesehen.
Sehr erfreulich ist die Tatsache, dass die vom Meeresministerium organisierte Überwachung regelmäßig, kompetent und zielgerichtet erfolgt und das Team hochmotiviert und gut ausgebildet ist. So ist unsere Hoffnung gerechtfertigt, dass die geschützten Riffe wieder frühere Bedeckungsgrade von mehr als 90 Prozent erreichen und ausreichend Larven und Jungkorallen produzieren. Das hilft , um besser mit Stressfaktoren wie Temperaturanstiege, Stürme und die gelegentlich auftretenden „red tides“ - giftige Phytoplanktonblüten – zurecht zu kommen.
Ob sich auch die Fischbestände in den Riffen wieder erholen, muss noch untersucht werden. Wichtig ist dabei der sogenannte „spill-over“ Effekt, der bedeutet, dass Jungfische aus dem Schutzgebiet herauswandern und sich in benachbarten Riffen ansiedeln. Davon würde nicht zuletzt die lokale Fischerei profitieren. So könnten Sinn und Zweck des Meeresschutzgebietes der Küstenbevölkerung sicherlich leichter vermittelt werden. Derzeit werden die gesammelten Daten und Daten aus anderen Quellen ausgewertet und in einem umfassenden Bericht verarbeitet.
21.09.2016